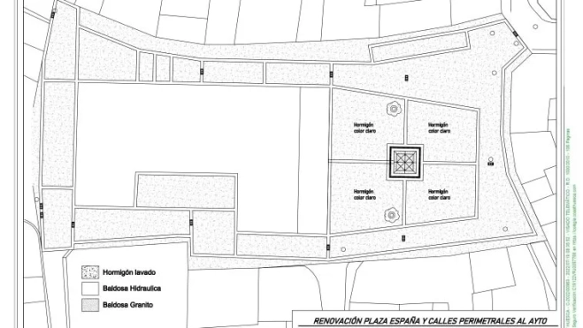
Tras conocer por redes sociales que el Ayuntamiento iba a emprender la reforma de la plaza España y calles adyacentes, con la única imagen de una foto hecha al plano de la obra, lo que motivó debates sobre el proyecto y su importancia para el casco viejo y una petición de reunión con el responsable de vivienda y patrimonio, ya realizada, así como una solicitud al alcalde de Sariñena, en calidad de máximo responsable de Urbanismo, de otra que tuviera carácter informativo y abierta para plantear sus opiniones respecto a la misma, sin respuesta alguna, lo que lamentamos profundamente.
Desde la Asociación hemos recogido las opiniones y sensibilidades de vecinos del entorno de la plaza, pero también de comerciantes afectados, que no encuentran respuesta a sus alegaciones y es lo que se pretendía plantear en la reunión solicitada que, como todas las comunicaciones hechas a la Alcaldía, ha recibido el silencio como respuesta.
Esta Asociación echa de menos un proceso de participación pública y mayor transparencia, así como una presentación de lo que se pretende hacer, tal y como han hecho en los últimos meses otras localidades aragonesas, la última, Barbastro.

Para sus miembros, resulta imprescindible que la plaza tenga vida, y no sea un solar de hormigón, con la excusa de poder usarla para espectáculos cinco días al año (durante las fiestas patronales) con mobiliario y arbolado de carácter móvil. Por ello, insistimos en la importancia de mantener suficientes árboles en tierra con riego fijo, no en maceteros que resultan caros e ineficientes para que sea de verdad un lugar de reunión bajo su sombra. Queremos una plaza con vocación de plaza habitable, y no repetir los errores de la primera reforma de la plaza del Salvador (convertida, en la práctica, en un aparcamiento, tras haber eliminado los lugares de reunión y socialización de sus vecinos).
Con respecto a los derechos de las personas con discapacidad, insistimos en la necesidad de hacer accesibles todos los establecimientos de la plaza, y por extensión, todos los edificios públicos de Sariñena. Así como insistir en la progresiva peatonalización de las zonas, a medida que se van abordando, en lugar de convertirlo todo en nuevos aparcamientos.
Y para el terreno creado tras el derribo de casa Laín, que parece no tener objetivo, además de para ensanchar la entrada a la calle Ugarte, proponemos un concurso de ideas para convertirlo en un rincón urbano acogedor.